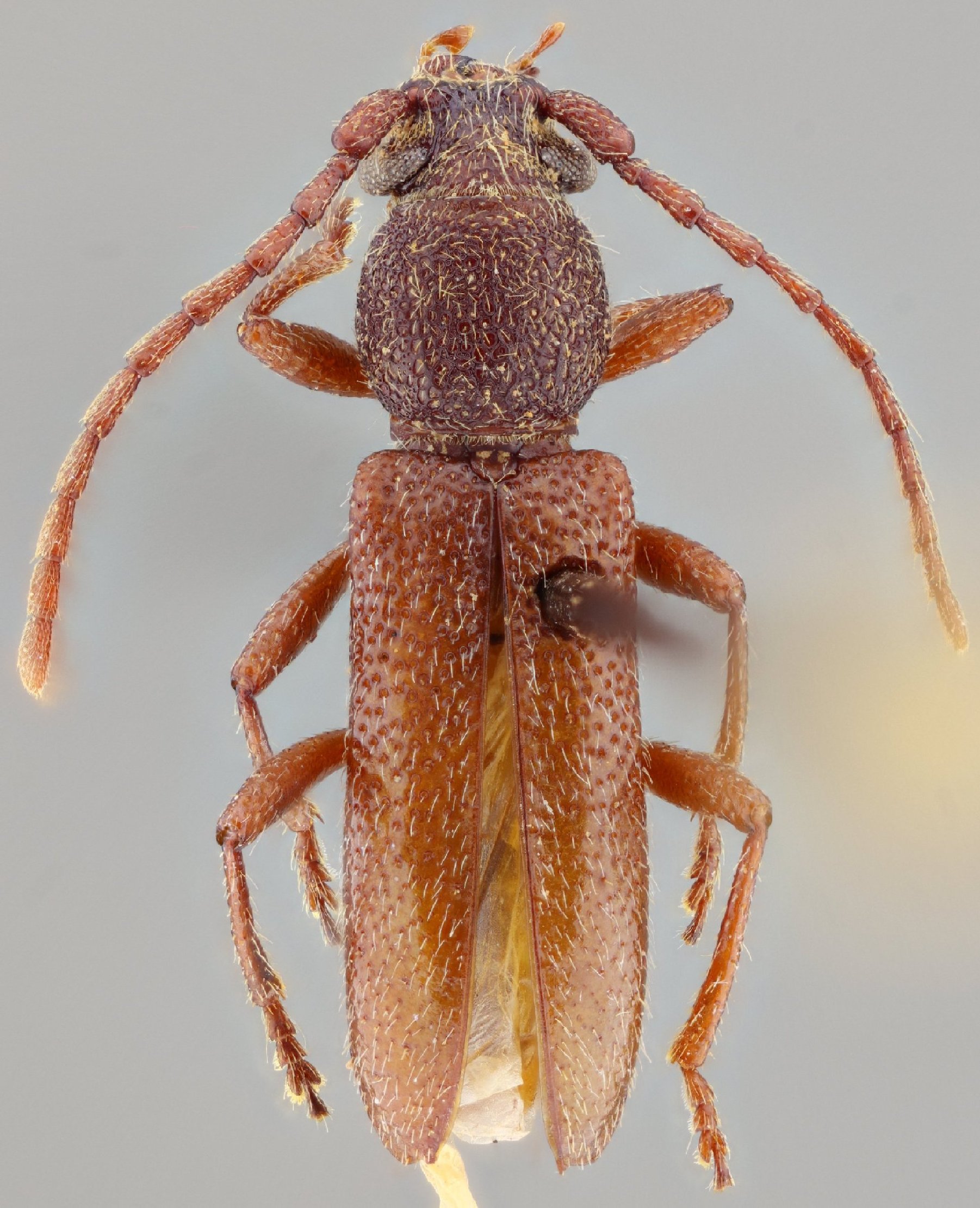
_Chemsak_and_Linsley_Mexico_USNM_SWL.jpg)
Specimen Type: holotype Institution: NMNH United States National Museum, Washington, DC, USA Photographer: Steve Lingafelter Collection Location: Celerain Point, Cozumel Island, Quintana Roo, Mexico 4283
|
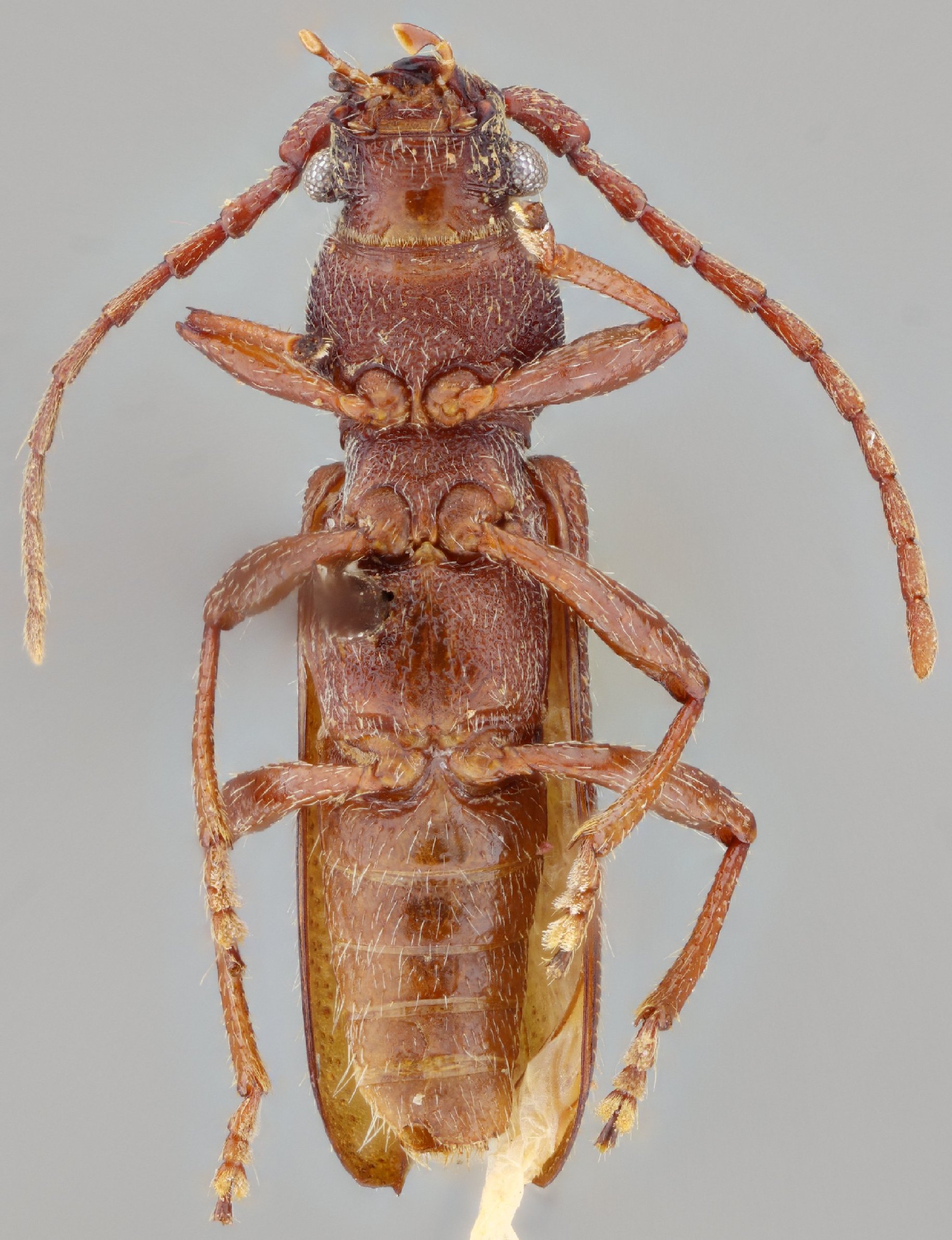
_Chemsak_and_Linsley_NMNH_JAC.jpg)
Specimen Type: holotype Institution: NMNH United States National Museum, Washington, DC, USA Photographer: John Chemsak Collection Location: Celerain Point, Cozumel Island, Quintana Roo, Mexico 15205
|
 Chem Lins FSCA Roatan, West End, Islas de la Bahia, Honduras SS.jpg)
Sex: m Institution: FSCA Florida State Collection of Arthropods, Gainesville, FL, USA Photographer: Antonio Santos-Silva Collection Location: Roatan, West End, Islas de la Bahia, Honduras 78722
|
 Chem Lins FSCA Roatan, West End, Islas de la Bahia, Honduras SS.jpg)
Sex: m Institution: FSCA Florida State Collection of Arthropods, Gainesville, FL, USA Photographer: Antonio Santos-Silva Collection Location: Roatan, West End, Islas de la Bahia, Honduras 78723
|
|