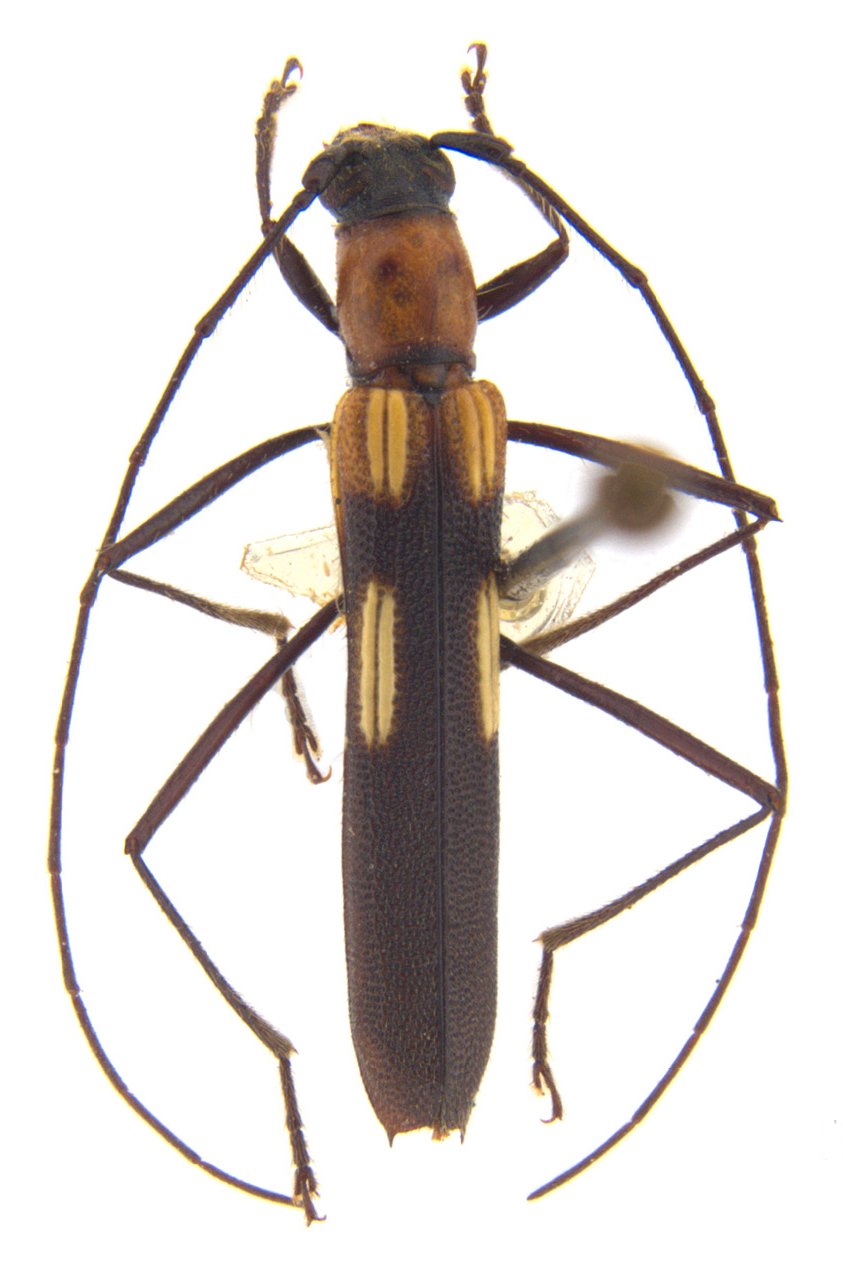
_Lameere_IRSNB_Brazil_Botero.jpg)
Specimen Type: lectotype Sex: f Institution: IRSNB Royal Belgian Institute of Natural Sciences, Brussels, Belgium Photographer: Juan Pablo Botero Collection Location: Brazil 49137
|
_Lameere_IRSNB_Brazil_Botero.jpg)
Specimen Type: lectotype Sex: f Institution: IRSNB Royal Belgian Institute of Natural Sciences, Brussels, Belgium Photographer: Juan Pablo Botero Collection Location: Brazil 49138
|
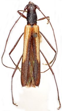
 Lameere IRSNB Brazil Moure.jpg)
Specimen Type: lectotype Sex: f Institution: IRSNB Royal Belgian Institute of Natural Sciences, Brussels, Belgium Photographer: JS Moure Collection Location: Brazil 102071
|
 Lameere MNHN Brazil Moure.jpg)
Specimen Type: syntype? Institution: MNHN Museum of Natural History Paris, France Photographer: JS Moure Collection Location: Brazil 102072
|
_Lameere_ES_Braz.jpg)
Sex: m Institution: MNRJ Museu Nacional Universidade do Rio Janeiro, Brazil Collection Location: Espirito Santo, Brazil 68496
|

23313
|
|