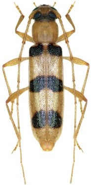
_Dalens_and_Touroult_Faure_photo.jpg)
Specimen Type: paratype Sex: f Institution: Henri-Pierre Dalens, Collection Photographer: Denis Faure Collection Location: French Guiana 32289
|
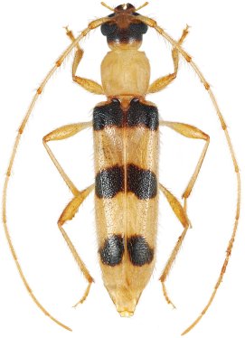
_Dalens_and_Touroult_Faure_photo.jpg)
Specimen Type: paratype Sex: m Institution: Denis Faure, Collection Photographer: Denis Faure Collection Location: French Guiana 32290
|