_Pascoe_BMNH_Sarawak_Borneo_LGB.jpg)
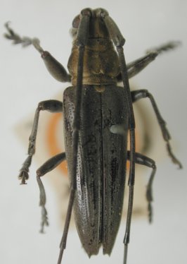
Specimen Type: holotype Sex: m Institution: BMNH British Museum Natural History, London, UK Photographer: Larry G. Bezark Collection Location: Sarawak, Borneo 48587
|
_Pascoe_BMNH_Sarawak_Borneo_LGB.jpg)
Specimen Type: holotype Sex: m Institution: BMNH British Museum Natural History, London, UK Photographer: Larry G. Bezark Collection Location: Sarawak, Borneo 48588
|
_Pascoe_drawing_Francesco.jpg)
Specimen Type: holotype Sex: m Institution: BMNH British Museum Natural History, London, UK Photographer: Francesco Vitali, Cerambycoidea Forum Collection Location: Sarawak, Borneo 66622
|

Institution: LIPI Lembaga Ilmu Pengetahuan, Bogor, Indonesia Photographer: Larry G. Bezark Determiner: Makihara Collection Location: Mt Halimun Salak National Park, West Java 44448
|

Institution: LIPI Lembaga Ilmu Pengetahuan, Bogor, Indonesia Photographer: Larry G. Bezark Determiner: Makihara Collection Location: Mt Halimun Salak National Park, West Java 44449
|
|