New Search Family, Subfamily and Tribe List

SubFamily Cerambycinae

Tribe Hexoplonini
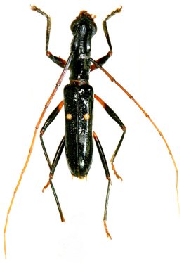
Gnomidolon galileoae Audureau 2015

Specimen Type: holotype
Sex: m
Institution: MNHN Museum of Natural History Paris, France
Photographer: Alain Audureau
Collection Location: Rio Venado, Satipo, Junin, Peru
48874

130425