_Pascoe_BMNH_Borneo_LGB.jpg)
Specimen Type: syntype Institution: BMNH British Museum Natural History, London, UK Photographer: Larry G. Bezark Collection Location: Borneo 48518
|
_Pascoe_Borneo.jpg)
Specimen Type: syntype Institution: BMNH British Museum Natural History, London, UK Determiner: Transactions Ento Soc of London Collection Location: Borneo 61055
|
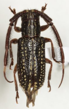
_Pascoe_BMNH_Borneo_DJH.jpg)
Specimen Type: syntype Institution: BMNH British Museum Natural History, London, UK Photographer: Dan Heffern Collection Location: Borneo 71920
|
_maybe_or_pteropliini_DJH.jpg)
Sex: f Photographer: Dan Heffern 61056
|
|