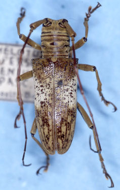
_Pascoe_Borneo_now_conspersus.jpg)
Nephelotus conspersus licheneus Pascoe Specimen Type: holotype Sex: m Institution: BMNH British Museum Natural History, London, UK Collection Location: Sarawak, Borneo 54386
|
 Thomson MNHN Java, Indonesia now Nephelotus GC.jpg)
Anhammus conspersus Thomson Specimen Type: holotype © MNHN Institution: MNHN Museum of Natural History Paris, France Photographer: Gerard Chemin, Cerambycoidea Forum Collection Location: Java, Indonesia 101093
|

Institution: LIPI Lembaga Ilmu Pengetahuan, Bogor, Indonesia Photographer: Larry G. Bezark Collection Location: Medan, SOK, Sumatra 43896
|
_Thomson_E_Borneo_Tabang_Bengen_River.jpg)
Sex: m Photographer: Makihara Collection Location: Tabang, Bengen River, Eastern Borneo 54385
|

Nephelotus conspersus Pascoe Institution: CAS California Academy of Sciences, San Francisco, CA, USA Photographer: Larry G. Bezark 54387
|

Nephelotus conspersus Pascoe Institution: LGBC Larry G. Bezark Collection, Sacramento, California, USA Photographer: Larry G. Bezark Determiner: Jim Cope Collection Location: West Borneo 54388
|
 Mt. Bawang, W. Kalimantan, Borneo F Ruggiero.jpg)
Photographer: Francesco Ruggiero Collection Location: Mt. Bawang, W. Kalimantan, Borneo 96318
|
|