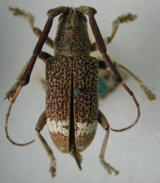
_Pascoe_BMNH_Labuan_Malaysia_LGB.jpg)
Achthophora fasciata Pascoe Specimen Type: holotype Institution: BMNH British Museum Natural History, London, UK Photographer: Larry G. Bezark Collection Location: Labuan, Malaysia 47424
|
_BMNH_LGB.jpg)
Institution: BMNH British Museum Natural History, London, UK Photographer: Larry G. Bezark 48331
|