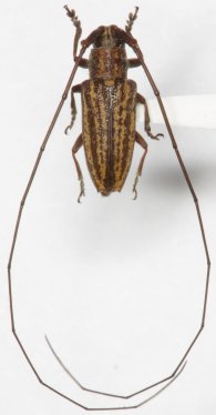
_Pascoe_BMNH_Singapore_LGB.jpg)
Specimen Type: holotype Institution: BMNH British Museum Natural History, London, UK Photographer: Larry G. Bezark Collection Location: Singapore 48300
|
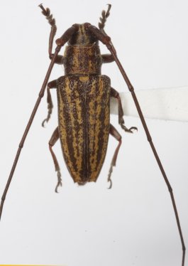
_Pascoe_BMNH_Singapore_LGB.jpg)
Specimen Type: holotype Institution: BMNH British Museum Natural History, London, UK Photographer: Larry G. Bezark Collection Location: Singapore 48301
|
_Pascoe_Borneo.jpg)
Specimen Type: holotype Institution: BMNH British Museum Natural History, London, UK Collection Location: Borneo 48304
|
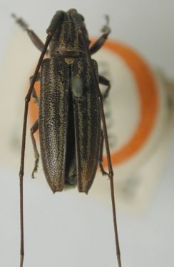
_DJH.jpg)
Sex: m Photographer: Dan Heffern 48305
|
_DJH.jpg)
Sex: m Photographer: Dan Heffern 48306
|
|