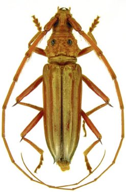
 Pascoe BMNH Para, Brazil now Styliceps Moure.jpg)
Caragenia sericata Pascoe Specimen Type: holotype Institution: BMNH British Museum Natural History, London, UK Photographer: JS Moure Collection Location: Para, Brazil 100519
|
_BCA.jpg)
Institution: BCA Biologia Centrali Americana 13781
|

Photographer: Jean-Louis Giuglaris Collection Location: Kaw, French Guiana 68133
|

Photographer: Denis Faure Collection Location: French Guiana 29371
|
_Bolivia_Wappes_Photo.jpg)
Photographer: Jim Wappes Collection Location: Bolivia 13782
|
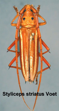
_Det_Tavakilian_French_Guiana_UCB_100166.jpg)
Institution: UCB Essig Museum of Entomology, Berkeley, California, USA Photographer: Larry G. Bezark Determiner: Tavakilian Collection Location: French Guiana 13783
|