New Search Family, Subfamily and Tribe List

SubFamily Cerambycinae

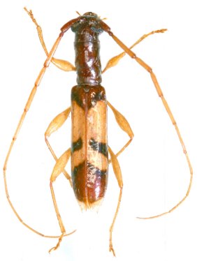
Tribe Tropidini Neoibidionina
Compsibidion marqueti Audureau 2015

Specimen Type: holotype
Sex: f
Institution: MNHN Museum of Natural History Paris, France
Photographer: Alain Audureau
Collection Location: Sombra EcoLodge, Tuma-La Dalia, Matagalpa, Nicaragua
48866

130425