New Search Family, Subfamily and Tribe List

SubFamily Lamiinae

Tribe Lamiini
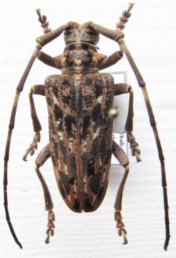
Haplothrix pulchra Hudepohl 1998

Specimen Type: holotype
Sex: f
Institution: Huedepohl Collection
Determiner: Entomofauna Zeitschrift für Entomologie
Collection Location: Crocker Range, Sabah, Borneo
51028


Photographer: Dan Heffern
Collection Location: Borneo
50740


Photographer: Konstantin Vaksov
Collection Location: Mt Lumutan, Borneo
50741


50742

130425