 Pascos BMNH Java now lateralis KM.jpg)
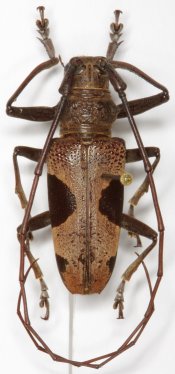
Epepeotes meridianus Pascoe Specimen Type: holotype Sex: m Institution: BMNH British Museum Natural History, London, UK Photographer: Keita Matsumoto Collection Location: Java, Indonesia 90217
|
_Sabah_Borneo_Gorodinski.jpg)
Photographer: Andre Gorodinski Collection Location: Sabah, Borneo 38901
|

Photographer: Dan Heffern Collection Location: Sabah, Borneo 38902
|
_CAS.jpg)
Institution: CAS California Academy of Sciences, San Francisco, CA, USA Photographer: Larry G. Bezark 38903
|

Photographer: Robert Vigneault, Cerambycoidea Forum Collection Location: Sabah, Borneo 38904
|

Epepeotes spinosus (Thomson) Institution: LGBC Larry G. Bezark Collection, Sacramento, California, USA Photographer: Larry G. Bezark 38926
|
|