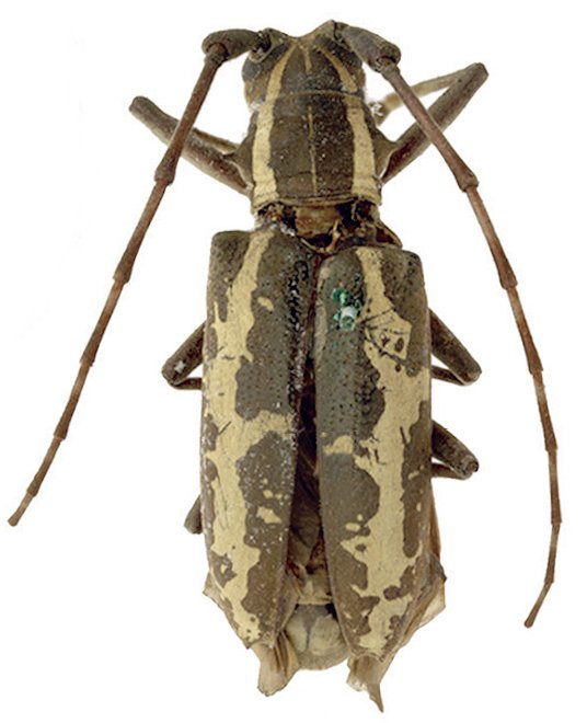
 Chev BMNH Manila, Philippines now Epepeot KM.jpg)
Monochamus ambigenus Chevrolat Specimen Type: holotype Sex: f Institution: BMNH British Museum Natural History, London, UK Photographer: Keita Matsumoto Collection Location: Manila, Luzon, Philippines 90230
|
 Chev BMNH Manila, Philippines now Epepeot KM.jpg)
Monochamus ambigenus Chevrolat Specimen Type: holotype Sex: f Institution: BMNH British Museum Natural History, London, UK Photographer: Keita Matsumoto Collection Location: Manila, Luzon, Philippines 90231
|

Institution: LGBC Larry G. Bezark Collection, Sacramento, California, USA Photographer: Larry G. Bezark 38886
|

Photographer: Udo Schmidt Collection Location: Balocane, Leyte, Philippines 38887
|
_Chevrolat_Luzon_Philippines_Cabigas_photo.jpg)
Photographer: Estan Cabigas Collection Location: Luzon, Philippines 38888
|
|