_Breun_BMNH_Sarawak_Borneo_LGB.jpg)
Specimen Type: holotype Sex: m Institution: BMNH British Museum Natural History, London, UK Photographer: Larry G. Bezark Collection Location: Sarawak, Borneo 47437
|
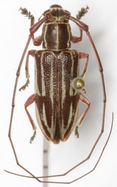
_DJH.jpg)
Mimolaelida flavolineata Breuning Specimen Type: holotype Institution: NHRS Naturhistoriska Riksmuseet, Stockholm, Sweden Photographer: Dan Heffern Collection Location: Borneo 53661
|