_Borneo_from_DJH_Sweden.jpg)
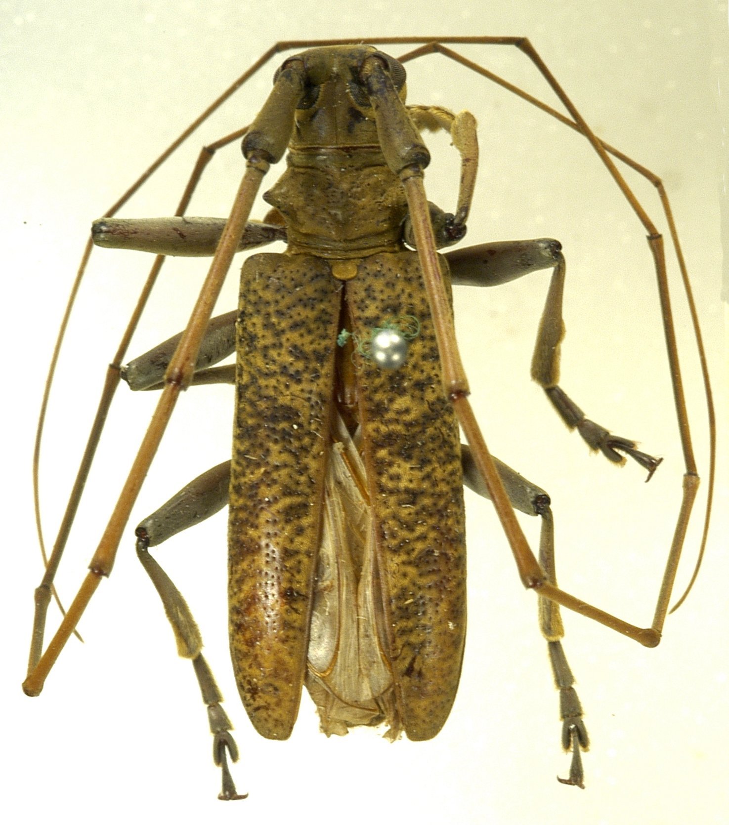
Dihammus laevifrons Aurivillius Specimen Type: syntype Institution: NHRS Naturhistoriska Riksmuseet, Stockholm, Sweden Photographer: Dan Heffern Collection Location: Pic Korintji, Sumatra 45560
|
_Auriv_NHRS_Korintji_Sumatra_now_3Acalo.jpg)
Dihammus laevifrons Aurivillius Specimen Type: syntype Institution: NHRS Naturhistoriska Riksmuseet, Stockholm, Sweden Photographer: Dan Heffern Collection Location: Pic Korintji, Sumatra 71769
|