_Fisher_USNM_DJH.jpg)
Orsidis unicolor Fisher Specimen Type: holotype Institution: NMNH United States National Museum, Washington, DC, USA Photographer: Dan Heffern Collection Location: Mt Kinabalu, Sabah, Borneo 55208
|
_Fisher_USNM_DJH.jpg)
Orsidis unicolor Fisher Specimen Type: holotype Institution: NMNH United States National Museum, Washington, DC, USA Photographer: Dan Heffern Collection Location: Mt Kinabalu, Sabah, Borneo 55209
|
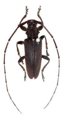
_Pascoe_BMNH_Sarawak_Borneo_Nearns_now_Acalolepta.jpg)
Orsidis dispar Pascoe Specimen Type: syntype Institution: BMNH British Museum Natural History, London, UK Photographer: Gino Nearns Collection Location: Sarawak, Borneo 55204
|

Institution: LGBC Larry G. Bezark Collection, Sacramento, California, USA Photographer: Larry G. Bezark 55205
|
_(Pascoe)_Makihara.jpg)
Sex: f Photographer: Makihara 30925
|
_W._Java_Makihara.jpg)
Sex: m Photographer: Makihara Determiner: near this taxon Collection Location: West Java 30926
|
_(Fisher)_Makihara.jpg)
Photographer: Makihara 30997
|
|