_Fisher_Indonesia_USNM_DJH_=_Acalolepta.jpg)
Dihammus ater Fisher Specimen Type: holotype Sex: m Institution: NMNH United States National Museum, Washington, DC, USA Photographer: Dan Heffern Collection Location: Mt Kinabalu, Sabah, Borneo 37405
|
_Fisher_USNM_DJH_=_Acalolepta.jpg)
Dihammus ater Fisher Specimen Type: holotype Sex: m Institution: NMNH United States National Museum, Washington, DC, USA Photographer: Dan Heffern Collection Location: Mt Kinabalu, Sabah, Borneo 37407
|
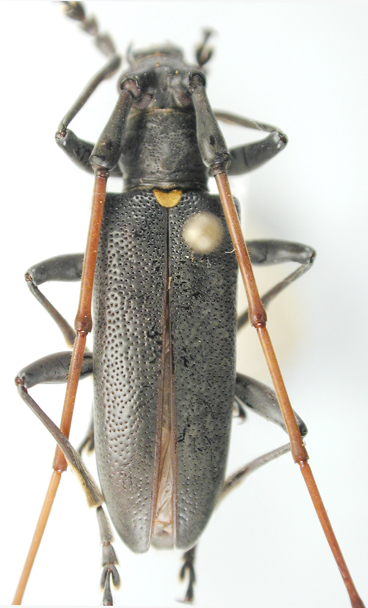
_Fisher_USNM_DJH_=_Acalolepta.jpg)
Dihammus ater Fisher Specimen Type: holotype Sex: m Institution: NMNH United States National Museum, Washington, DC, USA Photographer: Dan Heffern Collection Location: Mt Kinabalu, Sabah, Borneo 37406
|
 Mt Trus Madi, Sabah, Borneo JCPC LGB.jpg)
Institution: JCPC Jim Cope Collection, San Jose, California, USA now at CSCA, Sacramento Photographer: Larry G. Bezark Determiner: Jim Cope Collection Location: Mt Trus Madi, Sabah, Borneo 97540
|
 Mt Trus Madi, Sabah, Borneo JCPC LGB.jpg)
Institution: JCPC Jim Cope Collection, San Jose, California, USA now at CSCA, Sacramento Photographer: Larry G. Bezark Determiner: Jim Cope Collection Location: Mt Trus Madi, Sabah, Borneo 97541
|
|