
Institution: WHTC William H. Tyson Collection, Coarsegold, California, USA Photographer: Larry G. Bezark Collection Location: Mbaracayu Nature Reserve, Canindeyu, Paraguay 69820
|
_MZSP_Represa_Rio_Grande_RJ_Brazil_Nasc.jpg)
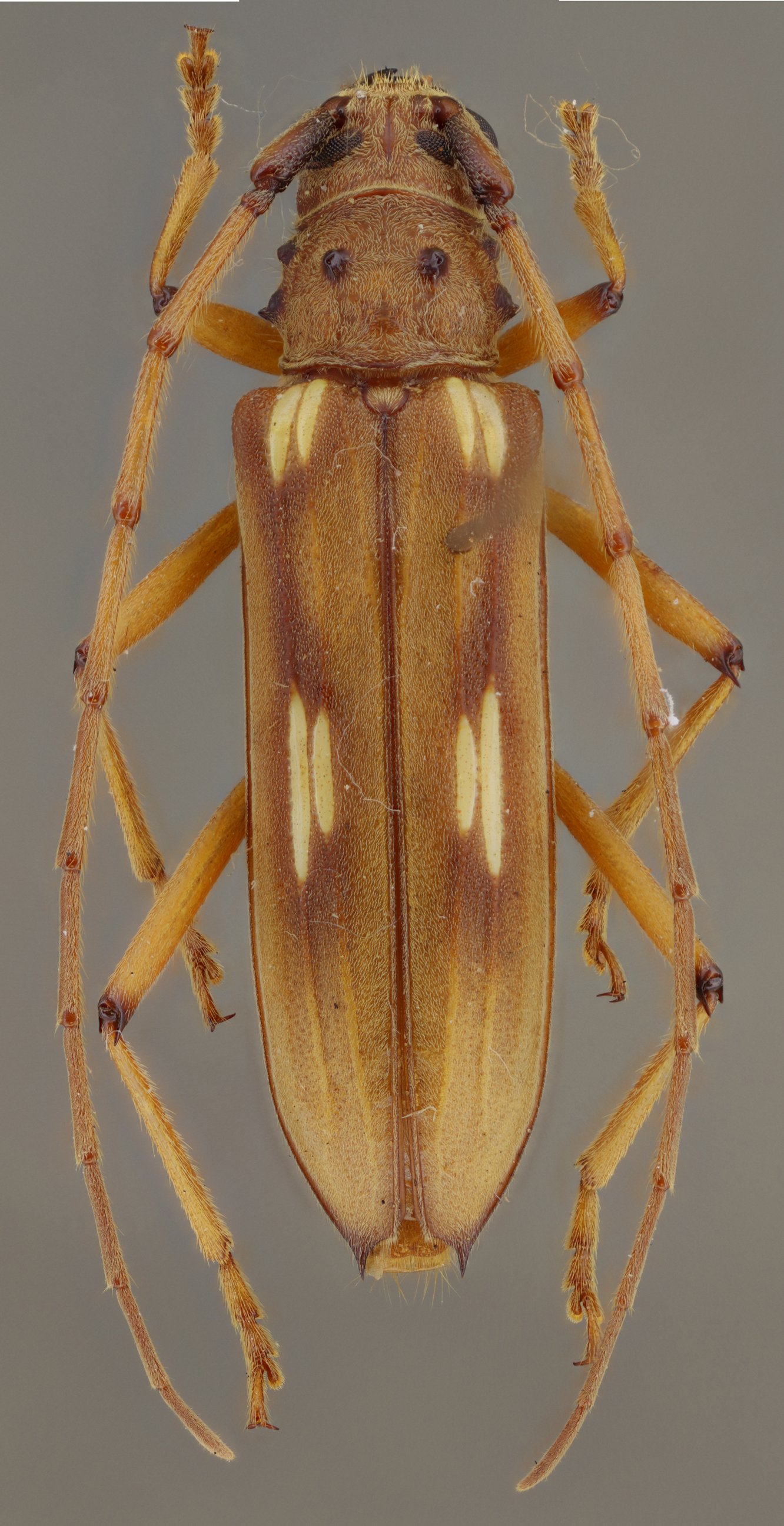
Sex: f Institution: MZSP Museu de Zoologia da Universidade de São Paulo, Brazil Photographer: Francisco Nascimento Collection Location: Represa Rio Grande, Rio de Janeiro, Brazil 69511
|