 Pascoe MNHUB Kina-balu, Borneo, Malaysia Radim Gabris pic.jpg)
Specimen Type: holotype Sex: m Institution: BMNH British Museum Natural History, London, UK Photographer: Radim Gabris Collection Location: Kina-balu, Borneo, Malaysia 90615
|
 Kriesche Kina-balu, Borneo, Malaysia now aquilus Gabris pic.jpg)
Anexodus kuntzeni Kreische Specimen Type: holotype Sex: f Institution: ZMHB Museum für Naturkunde der Humboldt-Universität, Berlin, Germany Photographer: Radim Gabris Collection Location: Kina-balu, Borneo, Malaysia 90617
|
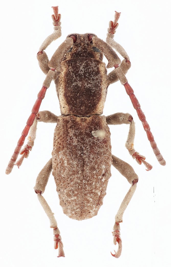
 PascoeTrus Madi, Borneo, Malaysia Radim Gabris pic.jpg)
Sex: m Photographer: Radim Gabris Collection Location: Trus Madi, Sabah, Borneo, Malaysia 90616
|

Photographer: Dan Heffern Collection Location: Sabah, Malaysia 31860
|
 Pascoe Taganbung, Mantalingajan, Palawan, Philippines Kasatkin.jpg)
Photographer: Denis Kasatkin Collection Location: Taganbung, Mantalingajan, Palawan, Philippines 77454
|
|