New Search Family, Subfamily and Tribe List

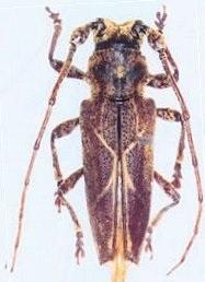
SubFamily Lamiinae

Tribe Homonoeini
Trachelophora lineata Aurivillius 1923

Sex: m
Photographer: Makihara
65081

130425