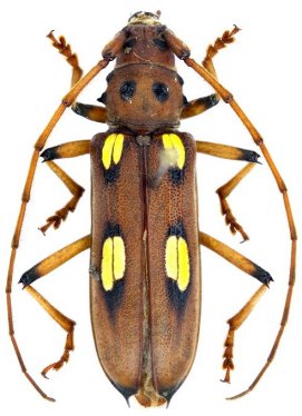
_Bates_MNHN_JAC_=_Pantomallus_costulatus.jpg)
Eburia costulata Bates Specimen Type: holotype Sex: m Institution: MNHN Museum of Natural History Paris, France Photographer: John Chemsak Collection Location: Tefé (originally Ega), Amazonas, Brazil 16168
|
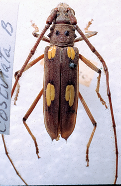
 Bates MAGD Tefe (Orig Ega), Amazonas, Brazil now Pantomall Moure.jpg)
Eburia costulatus Bates Specimen Type: allotype Sex: f Institution: MAGD Museum & Art Gallery of Doncaster, England Photographer: JS Moure Collection Location: Tefe (Originally Ega), Amazonas, Brazil 101002
|
_Ecuador_(Napo)_Det_Santos-Silva_LGB.jpg)
Photographer: Larry G. Bezark Determiner: Santos-Silva Collection Location: Napo, Ecuador 25035
|
 (Bates) Montagne des Chevaux, Roura, French Guiana Robin.jpg)
Sex: m Photographer: Frédéric Robin Collection Location: Montagne des Chevaux, French Guiana 79355
|
.jpg)
Institution: FTH Frank T. Hovore collection (now at California Academy of Sciences) Photographer: Larry G. Bezark Collection Location: Yasuni reservoir, Napo Province, Ecuador 28286
|
2.jpg)
Institution: FTH Frank T. Hovore collection (now at California Academy of Sciences) Photographer: Larry G. Bezark Collection Location: Yasuni reservoir, Napo Province, Ecuador 28287
|

Photographer: Jean-Louis Giuglaris Collection Location: Matiti, French Guiana 29221
|