New Search Family, Subfamily and Tribe List

SubFamily Lamiinae

Tribe Xylorhizini
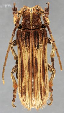
Xylorhiza adusta (Wiedemann, 1819)

Photographer: Gino Nearns
66635


Institution: LGBC Larry G. Bezark Collection, Sacramento, California, USA
Photographer: Larry G. Bezark
66636


Photographer: Steve Lingafelter
Collection Location: Vietnam
66637

130425