
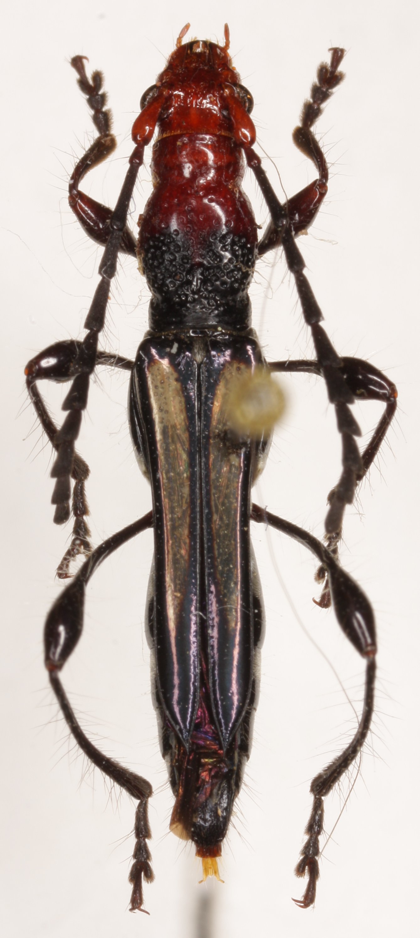
Institution: LIPI Lembaga Ilmu Pengetahuan, Bogor, Indonesia Photographer: Larry G. Bezark Determiner: Makihara Collection Location: Bukit Bangkirai, Kalimantan, Indonesia 43414
|

Institution: CAS California Academy of Sciences, San Francisco, CA, USA Photographer: Larry G. Bezark 32433
|