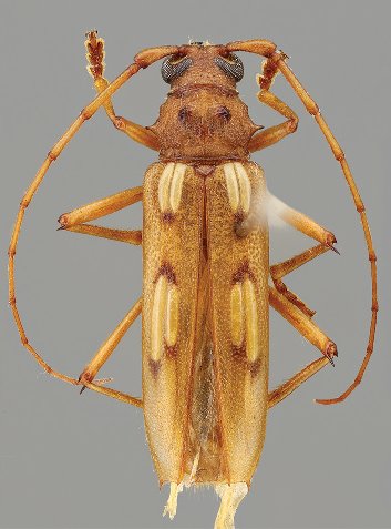
 Melzer MZSP Valentim Gentil, São Paulo, Brazil SS.jpg)
Sex: m Photographer: Antonio Santos-Silva Collection Location: Valentim Gentil, São Paulo, Brazil 21301
|

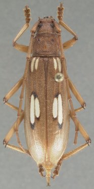
Institution: MZFS Universidade Estadual de Feira de Santana, Bahia State, Brazil Photographer: Francisco Nascimento Collection Location: Propriá, Sergipe, Brazil 78289
|