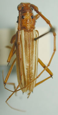
_(Blanchard)_Botero.jpg)
Sex: m Photographer: Juan Pablo Botero 63449
|
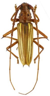
_(Blanchard)_JW.jpg)
Sex: m Photographer: Jim Wappes Collection Location: Bolivia 42171
|
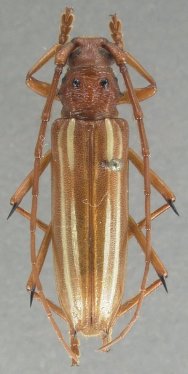
_(Blanchard)_JW.jpg)
Sex: f Photographer: Jim Wappes Collection Location: Bolivia 42172
|
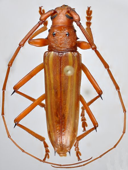
_Bolivia_Wappes_Photo.jpg)
Photographer: Jim Wappes Collection Location: Bolivia 7127
|

Institution: UCB Essig Museum of Entomology, Berkeley, California, USA Photographer: Larry G. Bezark 7128
|
_CAS.jpg)
Institution: CAS California Academy of Sciences, San Francisco, CA, USA Photographer: Larry G. Bezark 7452
|
_Paraguay_Dep_Paraguari_Mehl.jpg)
Photographer: Ole Mehl Collection Location: Department Paraguari, Paraguay 36725
|

Institution: IRSNB Royal Belgian Institute of Natural Sciences, Brussels, Belgium Photographer: Noel Mal Collection Location: Bolivia 39322
|