_Martins_MZSP_JAC_=_Eburodacrys_vidua_(Lacordaire).jpg)
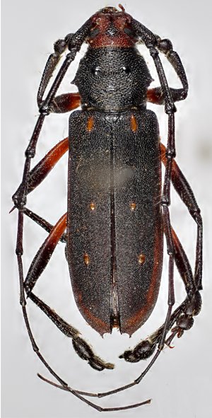
Sarquinopus grossipes Martins Specimen Type: holotype Sex: m Institution: MZSP Museu de Zoologia da Universidade de São Paulo, Brazil Photographer: John Chemsak Collection Location: Itapetininga (Floresta Estadual), Sao Paolo, Brazil 18474
|
_(Lacordaire)_Botero.jpg)
Sex: m Photographer: Juan Pablo Botero 63448
|