New Search Family, Subfamily and Tribe List

SubFamily Cerambycinae

Tribe Cerambycini
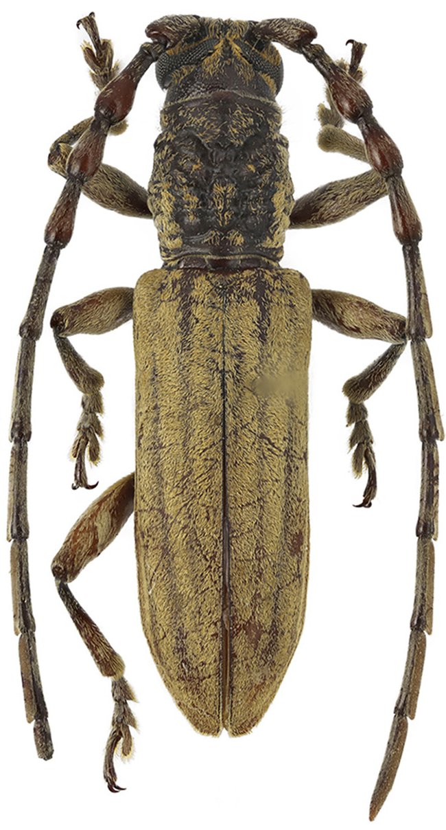
Imbrius similis Huedepohl 1990

Specimen Type: holotype
Sex: m
Institution: ZSM Zoologische Staatssammlung, München, Germany
Determiner: Entomofauna Zeitschrift für Entomologie
Collection Location: Philippines
51248


Sex: m
Photographer: Alexandr Miroshnikov
79440


Sex: f
Photographer: Alexandr Miroshnikov
79441

130425