_Gressitt_Rond_BPBM_Nobuo_Ohbay.jpg)
Specimen Type: holotype Sex: m Institution: BPBM Bernice P. Bishop Museum, Honolulu, Hawaii, USA Photographer: Nobuo Ohbayashi Collection Location: Ban Van Heua, Vientiane Province, Laos 45367
|
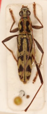
 Gr Rond Sayabouri, Sayabouri Province, Laos JCPC LGB.jpg)
Specimen Type: paratype Institution: JCPC Jim Cope Collection, San Jose, California, USA now at CSCA, Sacramento Photographer: Larry G. Bezark Collection Location: Sayabouri, Sayabouri Province, Laos 99730
|

Institution: CAS California Academy of Sciences, San Francisco, CA, USA Photographer: Larry G. Bezark 60123
|
|