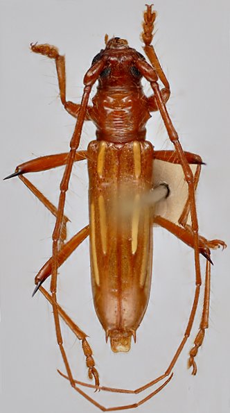
 Gounelle MNHN Jatai, Goias, Brazil Moure.jpg)
Specimen Type: lectotype Sex: m Institution: MNHN Museum of Natural History Paris, France Photographer: JS Moure Collection Location: Jataí, Goias, Brazil 101759
|
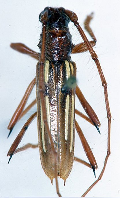
 Gounelle MZSP Pujol, Goias, Brazil Botero pic.jpg)
Specimen Type: syntype Sex: f Institution: MZSP Museu de Zoologia da Universidade de São Paulo, Brazil Photographer: Juan Pablo Botero Collection Location: Pujol, Goias, Brazil 81158
|
_Gounelle_MNRJ_P_Sooretama_ES_Brazil.jpg)
Sex: f Institution: MNRJ Museu Nacional Universidade do Rio Janeiro, Brazil Photographer: Larry G. Bezark Collection Location: Parque Sooretama, Linhares, Espirito Santo, Brazil 33311
|
_Gounelle_Botero.jpg)
Sex: m Photographer: Juan Pablo Botero 63447
|
_Gounelle_MNRJ_Encruzilhada_Bahia_Brazil.jpg)
Sex: m Institution: MNRJ Museu Nacional Universidade do Rio Janeiro, Brazil Photographer: Larry G. Bezark Collection Location: Encruzilhada, Bahia, Brazil 33310
|
|