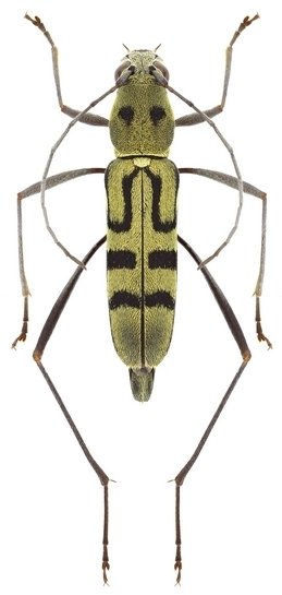
_Gahan_MNHN_Burma_Xavier.jpg)
Specimen Type: cotype © MNHN Sex: f Institution: MNHN Museum of Natural History Paris, France Photographer: Xavier Gouverneur, Cerambycoidea Forum Collection Location: Burma (Myanmar) 60081
|

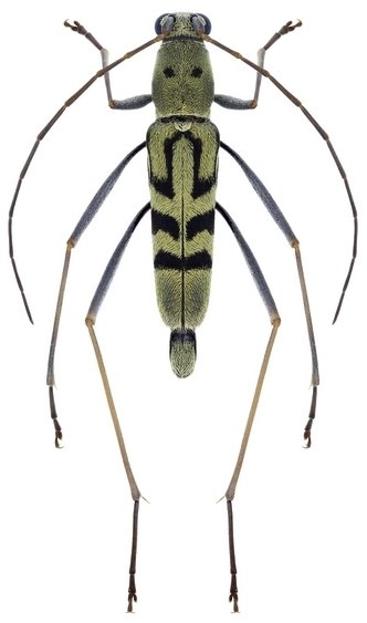
Institution: CAS California Academy of Sciences, San Francisco, CA, USA Photographer: Larry G. Bezark 60082
|

Photographer: Aleksandr Slutsky Collection Location: Chiang Mai, Thailand 75485
|

Photographer: Aleksandr Slutsky Collection Location: Chiang Mai, Thailand 75486
|
|