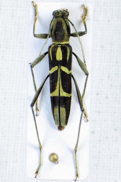
_(Gahan)_Perak_Malaysia_Viktora_pic.jpg)
Sex: m Institution: Viktora Collection Photographer: Petr Viktora Collection Location: Perak, Malaysia 75081
|
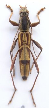
_(Gahan)_Perak_Malaysia_Viktora_pic.jpg)
Sex: f Institution: Viktora Collection Photographer: Petr Viktora Collection Location: Perak, Malaysia 75082
|

Institution: LGBC Larry G. Bezark Collection, Sacramento, California, USA Photographer: Larry G. Bezark Determiner: Jim Cope Collection Location: Cameron Highlands, Malaysia 59995
|
_Sabah_Borneo_Xavier.jpg)
Photographer: Xavier Gouverneur, Cerambycoidea Forum Collection Location: Sabah, Borneo 59997
|

Photographer: Robert Vigneault, Cerambycoidea Forum Collection Location: Sabah, Borneo 59998
|

Photographer: Estan Cabigas Collection Location: Mindanao, Philippines 59996
|
|