New Search Family, Subfamily and Tribe List

SubFamily Cerambycinae

Tribe Clytini
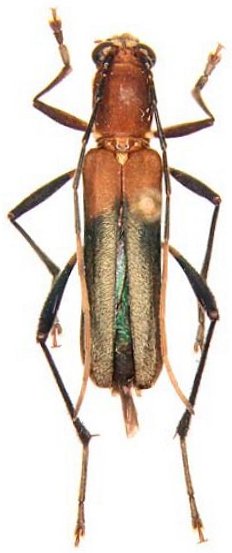
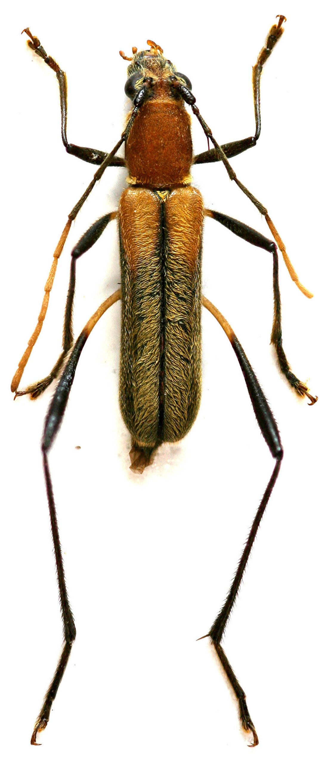
Psilomerus rufescens Dauber 2006

Specimen Type: holotype
Sex: m
Institution: Dauber Collection
Photographer: Diether Dauber
Collection Location: Mt Trus Madi, Sabah Borneo
96345


Sex: f
Photographer: Francesco Ruggiero
Collection Location: Mt Bawang, Kalimantan, Borneo
96346

130425