_Aurivillius_NMNH_Sandakan_Sabah_Borneo_SWL.jpg)
Specimen Type: holotype Institution: NMNH United States National Museum, Washington, DC, USA Photographer: Steve Lingafelter Collection Location: Sandakan, Sabah, Borneo 71897
|
_Aurivillius_Indonesia_USNM.jpg)
Specimen Type: holotype Institution: NMNH United States National Museum, Washington, DC, USA Photographer: Steve Lingafelter Collection Location: Sandakan, Sabah, Borneo 58187
|

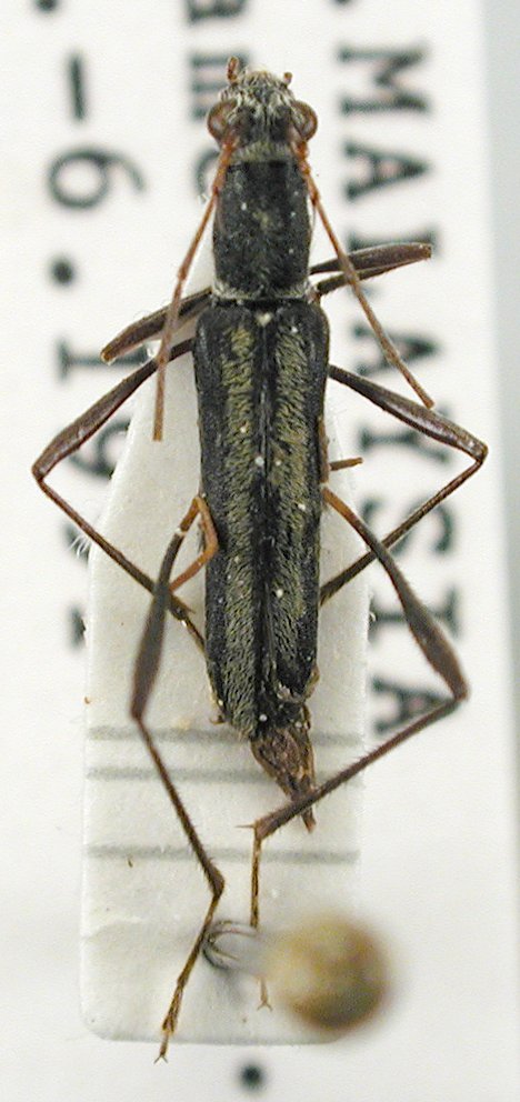
Institution: JCPC Jim Cope Collection, San Jose, California, USA now at CSCA, Sacramento Photographer: Larry G. Bezark Determiner: Dieter Dauber Collection Location: Cameron Highlands, Malaysia 99643
|
|