
Institution: JCPC Jim Cope Collection, San Jose, California, USA now at CSCA, Sacramento Photographer: Larry G. Bezark Determiner: CW Mercer Collection Location: Sibu, Sarawak, Borneo 99026
|

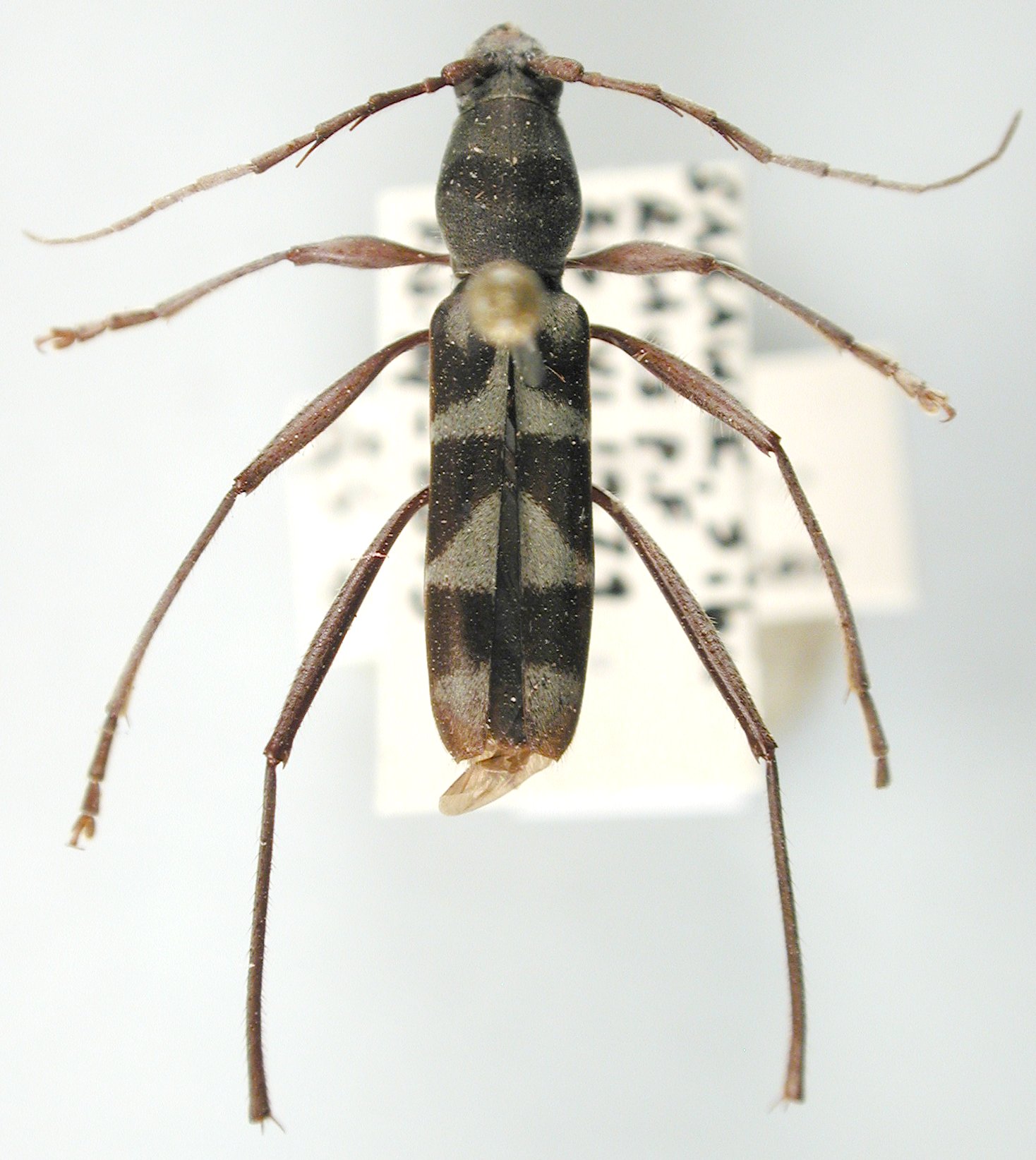
Institution: LIPI Lembaga Ilmu Pengetahuan, Bogor, Indonesia Photographer: Larry G. Bezark Determiner: Schwarzer Collection Location: Borneo 43534
|