_Pic_Vikt_coll_Kalimantan_Indonesia_Vikt_.jpg)
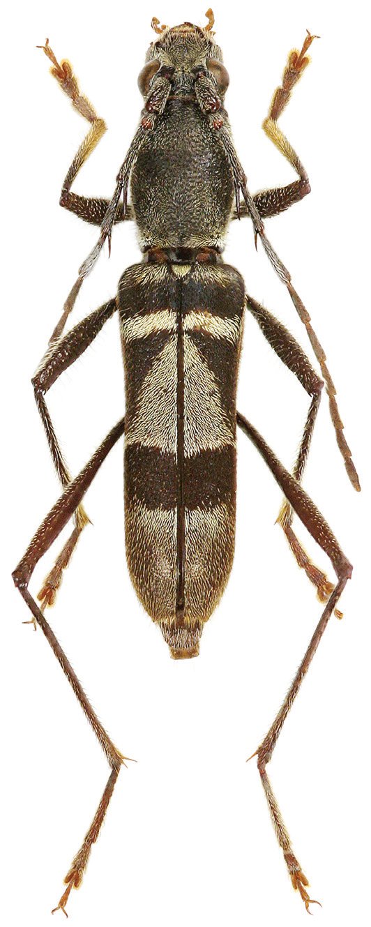
Sex: m Institution: Viktora Collection Photographer: Petr Viktora Collection Location: Kalimantan, Indonesia 71411
|

Institution: LGBC Larry G. Bezark Collection, Sacramento, California, USA Photographer: Larry G. Bezark Collection Location: Mt Trus Madi, Sabah, Borneo 37735
|