
Eburia triocellata Ståhl Specimen Type: holotype Sex: f Institution: NHRS Naturhistoriska Riksmuseet, Stockholm, Sweden Photographer: Aurivillius Collection Location: Antioquia, Colombia 30837
|
 Thomson MNHN Mexico now triocell Moure.jpg)
Eburodacrys mexicana Thomson Specimen Type: holotype Institution: MNHN Museum of Natural History Paris, France Photographer: JS Moure Collection Location: Mexico 101745
|
 Bates BMNH Mirandilla, Escuintla, Guatemala now triocell Moure.jpg)
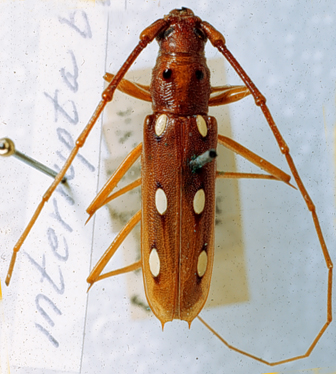
Eburodacrys mexicana var. interrupta Bates Specimen Type: lectotype Sex: m Institution: BMNH British Museum Natural History, London, UK Photographer: JS Moure Collection Location: Mirandilla, Escuintla, Guatemala 101746
|
_(m)_Bates_BMNH_JAC_=_Eburodacrys_triocellata_Stal.jpg)
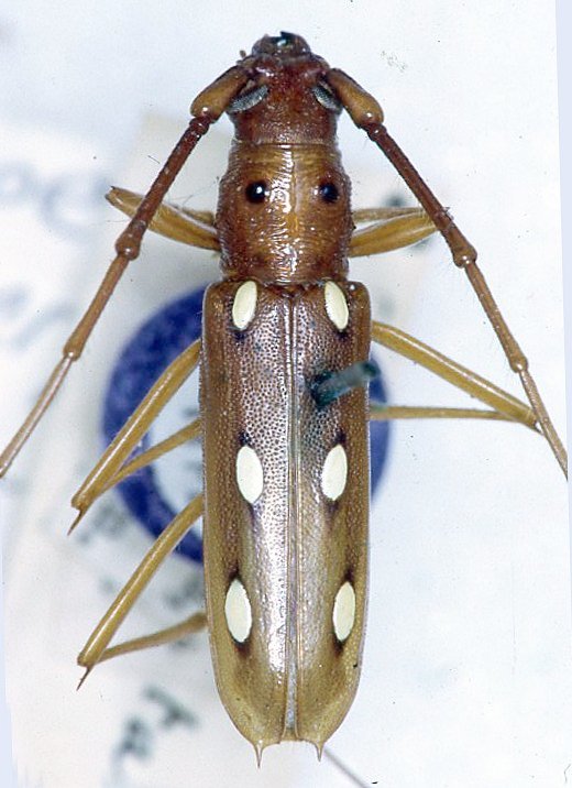
Eburodacrys mexicana interrupta Bates Specimen Type: lectotype Sex: m Institution: BMNH British Museum Natural History, London, UK Photographer: John Chemsak Collection Location: Mirandilla, Escuintla, Guatemala 16228
|

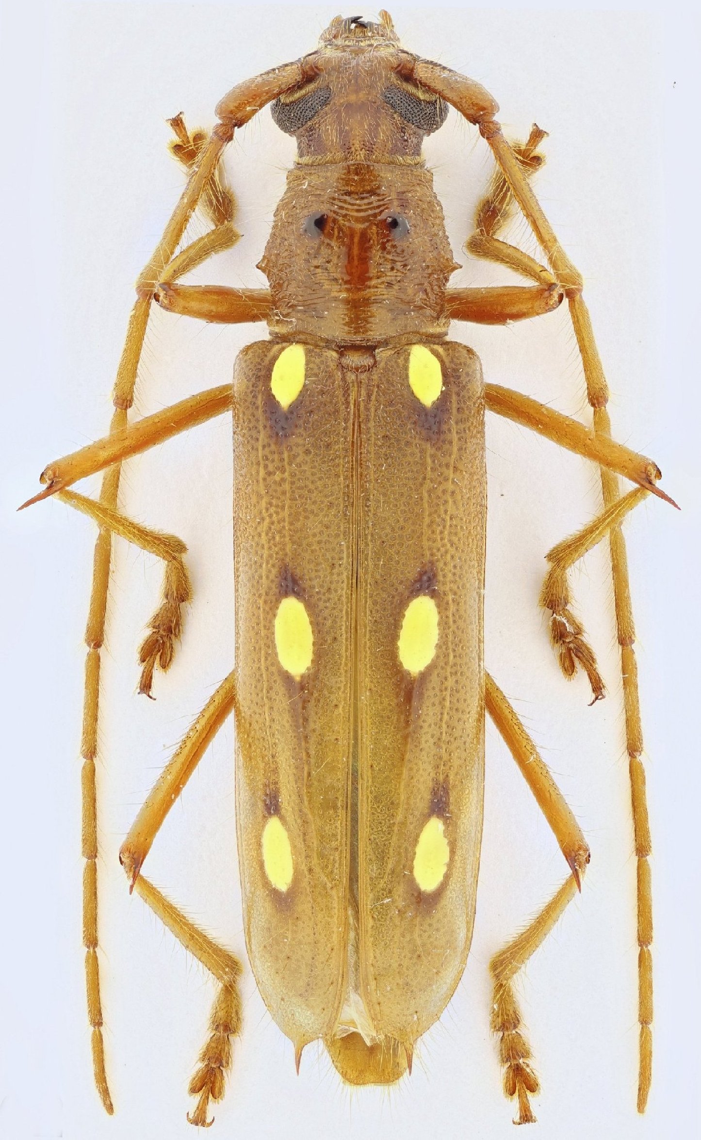
Institution: Vlasak Collection Photographer: Josef Vlasak Collection Location: Macara, Loja, Ecuador 100038
|
.jpg)
Institution: BCA Biologia Centrali Americana Collection Location: (as Eburodacrys mexicana Bates) 7123
|

Photographer: Larry G. Bezark 7124
|