_Pascoe_BMNH_Borneo_Helena Maratheftis.jpg)
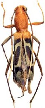
Clytus mustela Pascoe Specimen Type: holotype Institution: BMNH British Museum Natural History, London, UK Photographer: Helena Maratheftis Collection Location: Borneo 65849
|

Photographer: Dan Heffern Collection Location: Crocker Range, Borneo, Sabah, Malaysia 36962
|