
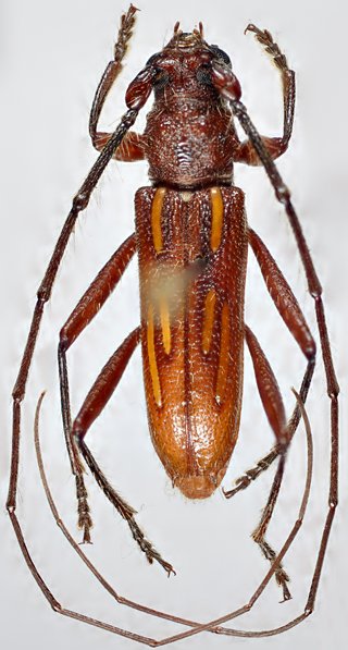
Erosida trilineata Aurivillius Specimen Type: holotype Sex: m Institution: NHRS Naturhistoriska Riksmuseet, Stockholm, Sweden Collection Location: São Leopoldo, Rio Grande do Sul, Brazil 30839
|
 Aurivillius NHRS Sao Leopoldo, Rio Grande do Sul, Brazil now dacrys Moure.jpg)
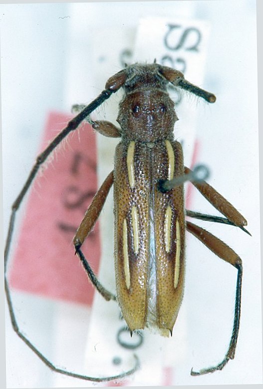
Erosida trilineata Aurivillius Specimen Type: holotype Sex: m Institution: NHRS Naturhistoriska Riksmuseet, Stockholm, Sweden Photographer: JS Moure Collection Location: Sao Leopoldo, Rio Grande do Sul, Brazil 101785
|
_Det_Chemsak_UCB.jpg)
Institution: UCB Essig Museum of Entomology, Berkeley, California, USA Photographer: Larry G. Bezark Determiner: Chemsak 7122
|
_(Aurivillius)_Botero.jpg)
Sex: m Photographer: Juan Pablo Botero 63446
|
|