New Search Family, Subfamily and Tribe List

SubFamily Cerambycinae

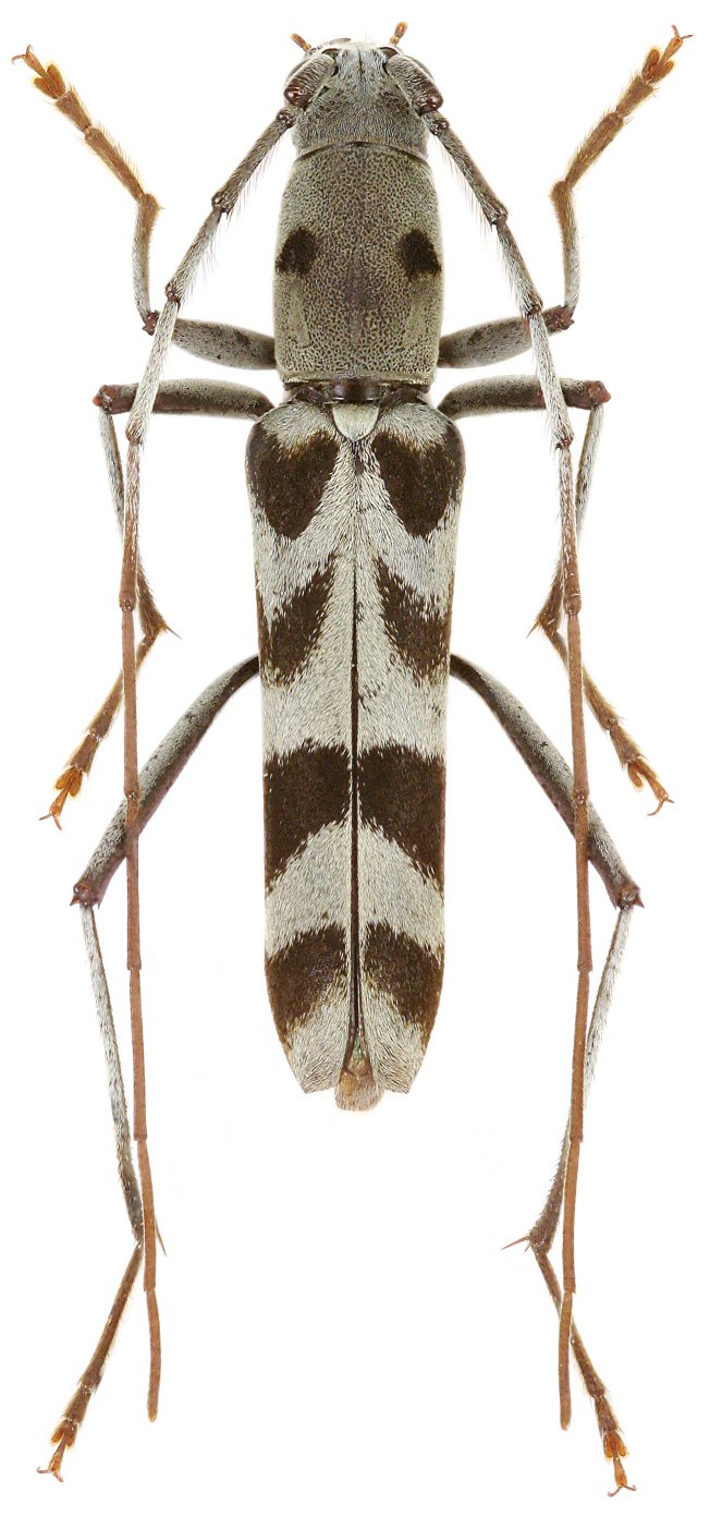
Tribe Clytini
Demonax macilentus (Chevrolat, 1858)

Sex: m
Institution: Viktora Collection
Photographer: Petr Viktora
Collection Location: Cameron Highlands, Pahang, Malaysia
75062

130425