_Gressitt_BPBM_Nobuo_Ohbay.jpg)
Specimen Type: holotype Sex: m? Institution: BPBM Bernice P. Bishop Museum, Honolulu, Hawaii, USA Photographer: Nobuo Ohbayashi Collection Location: Borneo 43339
|
_Gressitt_Borneo_Cope.jpg)
Specimen Type: holotype Sex: m? Institution: BPBM Bernice P. Bishop Museum, Honolulu, Hawaii, USA Photographer: Jim Cope Collection Location: Borneo 36554
|

Specimen Type: holotype Sex: m? Institution: BPBM Bernice P. Bishop Museum, Honolulu, Hawaii, USA Photographer: Dan Heffern Collection Location: Borneo 36555
|

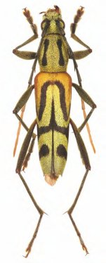
Institution: LGBC Larry G. Bezark Collection, Sacramento, California, USA Photographer: Larry G. Bezark Collection Location: Borneo, Sabah, Malaysia 36961
|

Institution: Viktora Collection Determiner: Folia Heyrovskyana, Praha Collection Location: Mt Trus Madi, Sabah, Borneo 58568
|
|