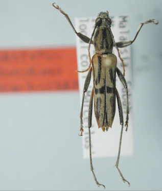
_Dauber_LGB.jpg)
Specimen Type: paratype Institution: LGBC Larry G. Bezark Collection, Sacramento, California, USA Photographer: Larry G. Bezark Collection Location: Crocker Range, Borneo, Sabah, Malaysia 35173
|

Determiner: Linzer biol. Beitrage 35174
|

Photographer: Robert Vigneault, Cerambycoidea Forum 35175
|
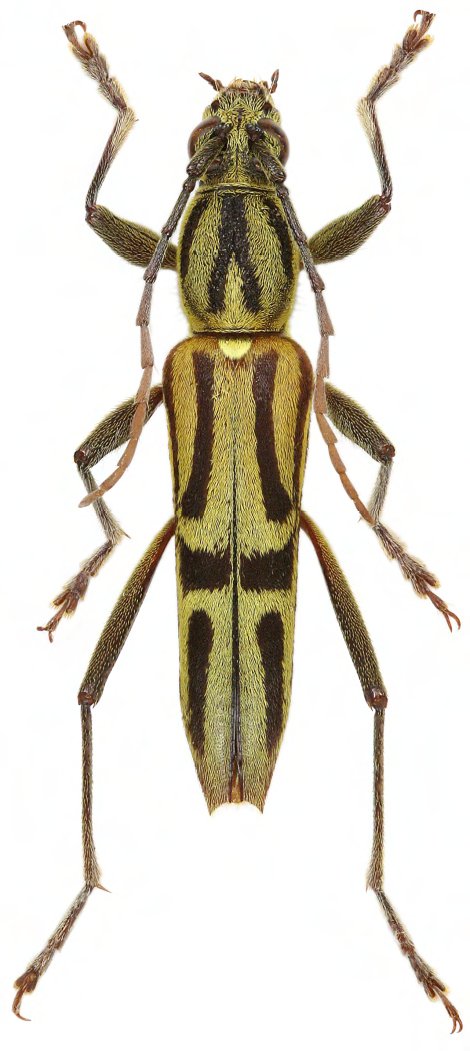
_Dauber_Viktora_coll_Mt_Trus_Madi_Sabah_Borneo.jpg)
Sex: m Institution: Viktora Collection Photographer: Petr Viktora Collection Location: Mt Trus Madi, Sabah, Borneo 69990
|
|