_(f)_Erichson_MNHU_FTH_=_Eburodacrys.jpg)
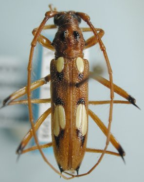
Eburia sulphureosignata Erichson Specimen Type: holotype Sex: f Institution: ZMHB Museum für Naturkunde der Humboldt-Universität, Berlin, Germany Collection Location: Peru 16200
|
 Bates MNHN Tefé (originally Ega), Amazonas, Brazil Moure.jpg)
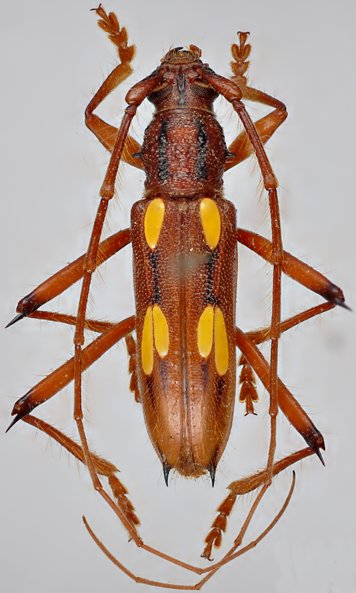
Eburodacrys longipilis Bates Specimen Type: lectotype Sex: f Institution: MNHN Museum of Natural History Paris, France Photographer: JS Moure Collection Location: Tefé (originally Ega), Amazonas, Brazil 16225
|

Institution: CSCA California State Collection of Arthropods, Sacramento, California Photographer: Larry G. Bezark Collection Location: 3-5 km E of Ahuano, Napo Province, Ecuador 49087
|
_Jatun Sacha_Biol_Stat_Napo_EC.jpg)
Institution: LGBC Larry G. Bezark Collection, Sacramento, California, USA Photographer: Larry G. Bezark Collection Location: Jatun Sacha Biological Station, Napo, Ecuador 49247
|
_(Erichson)_Botero.jpg)
Sex: m Photographer: Juan Pablo Botero 63443
|
_Bolivia_Wappes_Photo.jpg)
Photographer: Jim Wappes Collection Location: Bolivia 7119
|
|