New Search Family, Subfamily and Tribe List

SubFamily Cerambycinae

Tribe Clytini
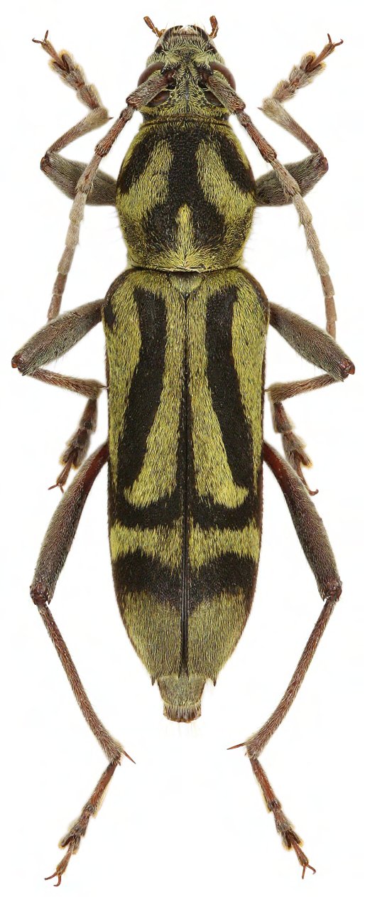
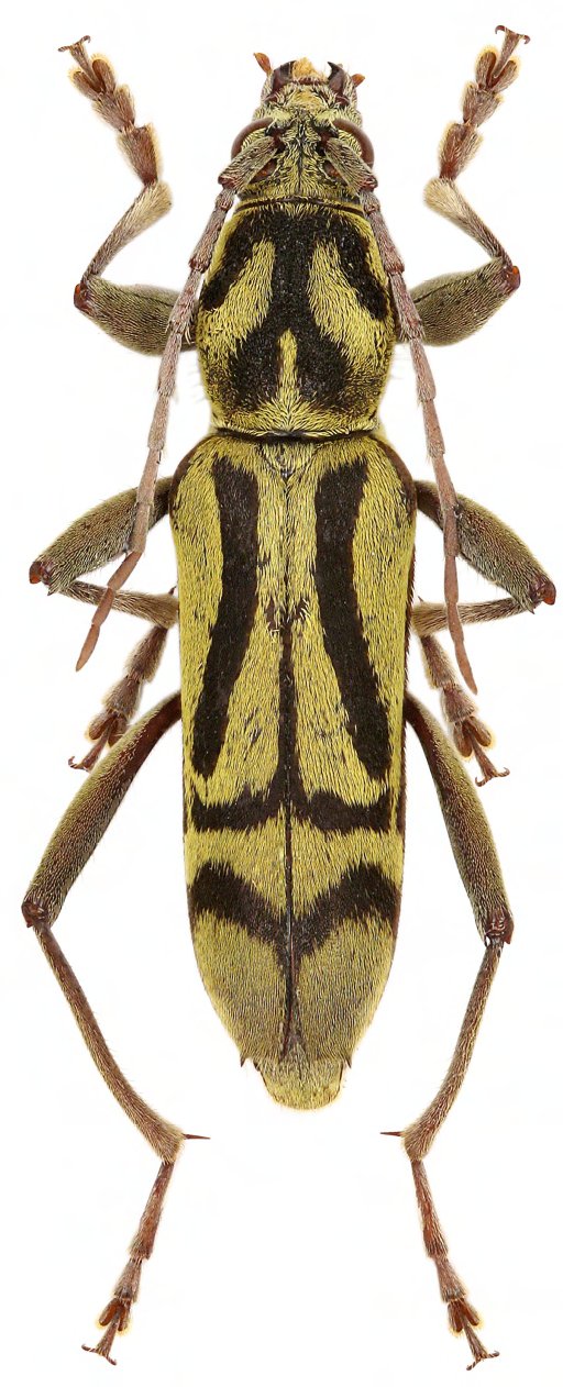
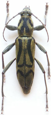
Chlorophorus hefferni Dauber 2002

Sex: m
Institution: Viktora Collection
Photographer: Petr Viktora
Collection Location: Tawau, Sabah, Borneo
69986


Sex: f
Institution: Viktora Collection
Photographer: Petr Viktora
Collection Location: Tawau, Sabah, Borneo
69987


Photographer: Robert Vigneault, Cerambycoidea Forum
35023


Determiner: Linzer biol. Beitrage
35024

130425