_Aurivillius_Borneo.jpg)
Specimen Type: holotype Institution: NHRS Naturhistoriska Riksmuseet, Stockholm, Sweden Collection Location: Borneo 48893
|
_Auriv_Viktora_coll_Mt_Bawang_Kalimantan_Borneo.jpg)
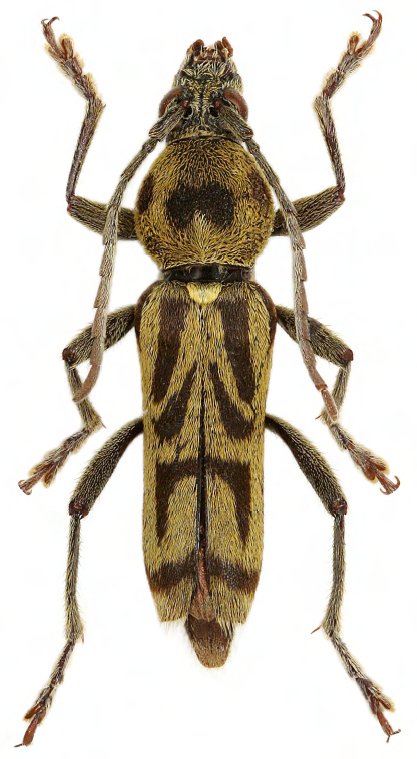
Sex: m Institution: Viktora Collection Photographer: Petr Viktora Collection Location: Mt Bawang, Kalimantan, Borneo 69982
|
_Auriv_Viktora_coll_Mt_Bawang_Kalimantan_Borneo.jpg)
Sex: f Institution: Viktora Collection Photographer: Petr Viktora Collection Location: Mt Bawang, Kalimantan, Borneo 69983
|

Institution: LGBC Larry G. Bezark Collection, Sacramento, California, USA Photographer: Larry G. Bezark Collection Location: Mt Trus Madi, Borneo, Sabah, Malaysia 35003
|

Photographer: Robert Vigneault, Cerambycoidea Forum 35004
|

Photographer: Robert Vigneault, Cerambycoidea Forum 35005
|
|