 MNHN Goias or Ceara, Brazil Moure.jpg)
Specimen Type: syntype Sex: m Institution: MNHN Museum of Natural History Paris, France Photographer: JS Moure Collection Location: Goias or Ceara, Brazil 16240
|
_(m)_Gounelle_MNHN_JAC.jpg)
Specimen Type: syntype Sex: m Institution: MNHN Museum of Natural History Paris, France Photographer: John Chemsak 16239
|
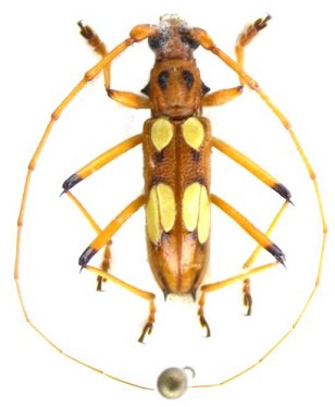
_Galileo_and_Martins_MZSP_Kaw_French_Guiana.jpg)
Eburodacrys amabilis Galileo & Martins Specimen Type: holotype Sex: m Institution: MZSP Museu de Zoologia da Universidade de São Paulo, Brazil Collection Location: Kaw, French Guiana 27485
|

Eburodacrys amabilis Galileo & Martins Photographer: Odette Morvan Collection Location: French Guiana 31491
|

Photographer: Jean-Louis Giuglaris Collection Location: Kaw, French Guiana 28717
|

Photographer: Jim Wappes Collection Location: Bolivia 7117
|

Photographer: Jim Wappes Collection Location: Bolivia 7118
|