New Search Family, Subfamily and Tribe List

SubFamily Cerambycinae

Tribe Clytini
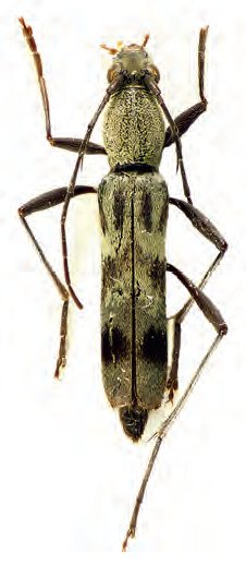
Demonax indubius Dauber 2014

Specimen Type: holotype
Sex: f
Institution: Dauber Collection
Photographer: Diethard Dauber
Collection Location: Lembang, Java, Indonesia
74650

130425