
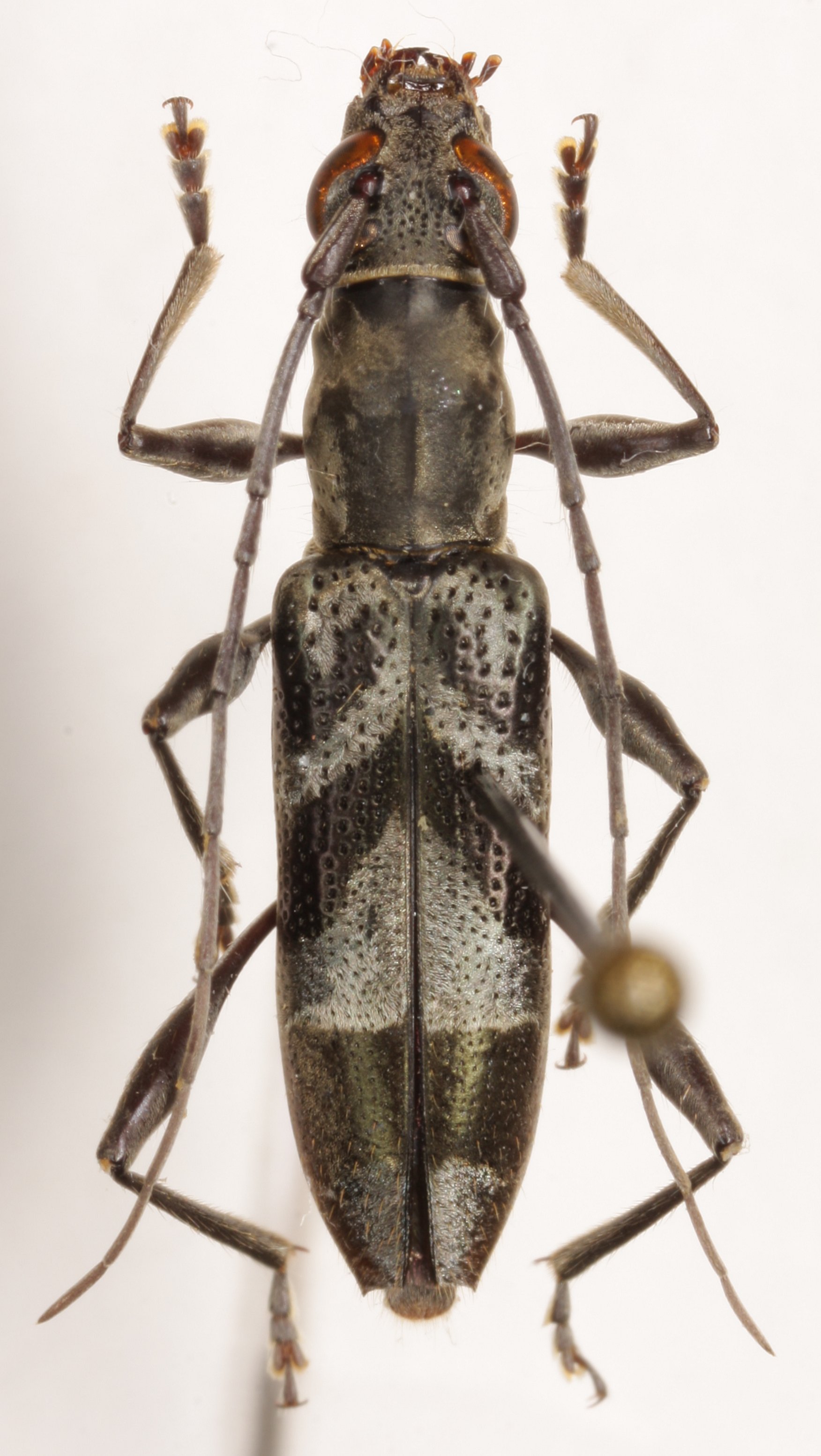
Specimen Type: holotype Institution: BMNH British Museum Natural History, London, UK Photographer: Dan Heffern Collection Location: Sarawak, Borneo, Malaysia 48474
|
_Pascoe_Borneo.jpg)
Specimen Type: holotype Institution: BMNH British Museum Natural History, London, UK Collection Location: Sarawak, Borneo, Malaysia 48475
|
_Pascoe_Makihara.jpg)
Sex: m Photographer: Makihara 48476
|

Institution: BMNH British Museum Natural History, London, UK Photographer: Dan Heffern Collection Location: Sarawak, Borneo, Malaysia 48477
|

Institution: Heffern Collection Photographer: Dan Heffern Collection Location: Sabah, Borneo 71889
|

Determiner: Studies and Reports, Taxonomical Series Collection Location: S Kalimantan, Indonesia 59224
|
|