
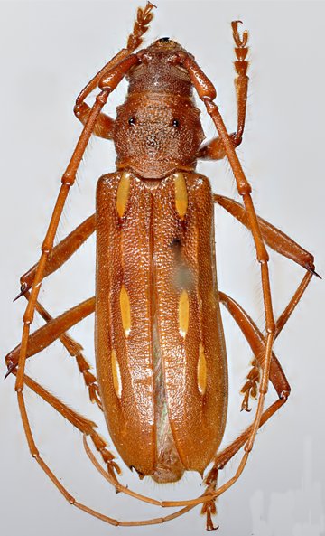
Specimen Type: holotype Sex: f Institution: NHRS Naturhistoriska Riksmuseet, Stockholm, Sweden Collection Location: São Leopoldo, Rio Grande do Sul, Brazil 30836
|
 Aurivillius NHRS São Leopoldo, Rio Grande do Sul, Brazil Moure.jpg)
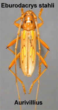
Specimen Type: holotype Sex: f Institution: NHRS Naturhistoriska Riksmuseet, Stockholm, Sweden Photographer: JS Moure Collection Location: São Leopoldo, Rio Grande do Sul, Brazil 101757
|