_Pascoe_Malaysia_Penang_now_Schmidtiana.jpg)
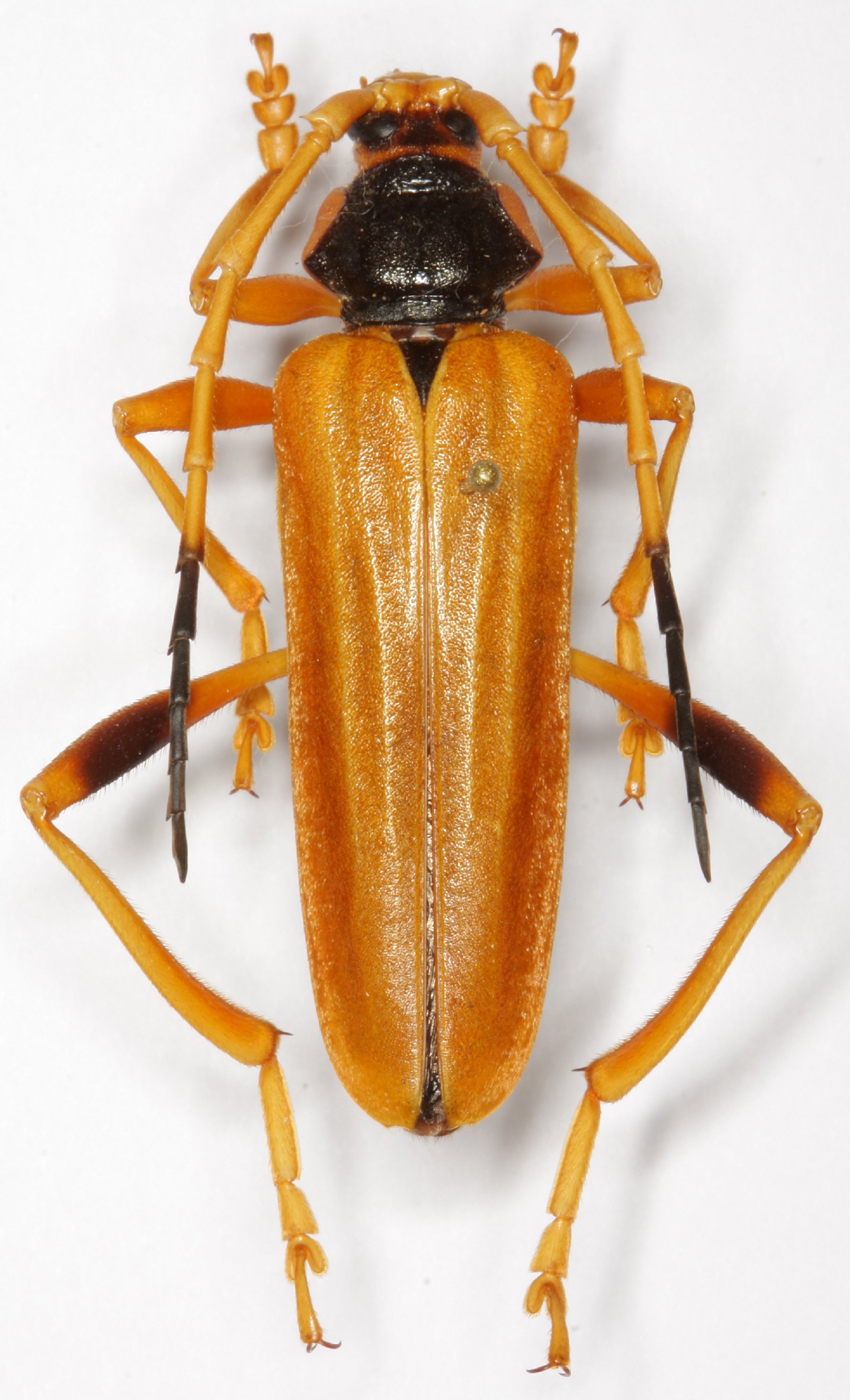
Pachyteria spinicollis Pascoe Specimen Type: holotype Institution: BMNH British Museum Natural History, London, UK Collection Location: Penang, Malaysia 55391
|
.jpg)
Institution: Heffern Collection Photographer: Dan Heffern Collection Location: Sabah, Borneo 60672
|